3361 Old Greenwood Road, Marianna, FL 32446
Property Photos
Would you like to sell your home before you purchase this one?
Priced at Only: $950,000
For more Information Call:
Address: 3361 Old Greenwood Road, Marianna, FL 32446
Property Location and Similar Properties
- MLS#: 759385 ( Residential )
- Street Address: 3361 Old Greenwood Road
- Viewed: 45
- Price: $950,000
- Price sqft: $0
- Waterfront: No
- Year Built: Not Available
- Bldg sqft: 0
- Days On Market: 492
- Additional Information
- Geolocation: 30.8087 / -85.1886
- County: JACKSON
- City: Marianna
- Zipcode: 32446
- Subdivision: No Named Subdivision
- Provided by: Maphis Realty Group
- DMCA Notice
-
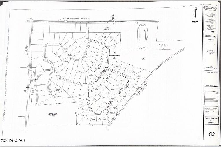
DescriptionCALLING ALL INVESTORS! This is an amazing opportunity to invest in a proven Subdivision! This is proposed Greenfield Phase III, which contains 74 Acres MOL, that has the potential to yield more than 75 residential lots similar to Greenfield Phases I & II! Greenfield Phases I & II have completely sold out at an average price of 25K each!! That's an approximate value of $1.8 MIL! There is even more value depending on how YOU decide to plat the 74 Acres MOL. We have a preliminary Plat of Phase III, plus many other plans and details of different aspects of the infrastructure. This is an amazing opportunity! According to Jackson County Planning and Zoning, Phase III will have to be re platted and re submitted for approval. At this time, the new developer can re plat however they would like, and create a new set of Covenants and Restrictions to be submitted for approval to the City of Marianna.
Payment Calculator
- Principal & Interest -
- Property Tax $
- Home Insurance $
- HOA Fees $
- Monthly -
For a Fast & FREE Mortgage Pre-Approval
Apply Now
Apply NowFeatures
Building and Construction
- Covered Spaces: 0.00
- Living Area: 0.00
- Other Structures: Outbuilding
Land Information
- Lot Features: Cleared, Paved
Garage and Parking
- Garage Spaces: 0.00
- Open Parking Spaces: 0.00
Utilities
- Carport Spaces: 0.00
- Road Frontage Type: CityStreet
- Utilities: SewerAvailable, WaterConnected
Finance and Tax Information
- Home Owners Association Fee: 0.00
- Insurance Expense: 0.00
- Net Operating Income: 0.00
- Other Expense: 0.00
- Pet Deposit: 0.00
- Security Deposit: 0.00
- Tax Year: 2023
- Trash Expense: 0.00
Other Features
- Legal Description: NW1/4...DB 473 P 439...LESS RTWY PER OR 427 P 58, 62 OR 495 P 499 OR 536 P 720 (See outline in Photos for approximate boundaries this Listing pertains to)
- Area Major: 09 - Jackson County
- Parcel Number: 25-5N-10-0000-0090-0000
- The Range: 0.00
- Views: 45
Similar Properties
Nearby Subdivisions
- Natalie Gorse, REALTOR ®
- Tropic Shores Realty
- Office: 352.684.7371
- Mobile: 352.584.7611
- Fax: 352.799.3239
- nataliegorse352@gmail.com
